今日も鬱陶しい雨の1日でした。
メバル、全員顔見てから鯛カブラやヒトツテンヤをして遊んでもらいました(^^)
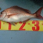
昨日に引き続き鯛カブラでマダイ釣れて良かったです(^^)
昨日の3匹、今日の匹、早くも匹釣れました!
これから、鯛カブラ楽しみですね!
4月6日(月) 雨 中潮 波なし 海水温13℃
釣り人 木谷様、中村様
釣果 マダイ1匹・37センチ[鯛カブラ]/メバル4匹(25センチ~26センチ)/ガシラ2匹(18センチ・20センチ)[ヒトツテンヤ]
仕掛け 餌 メバル仕掛け
仕掛け 餌 鯛カブラ
仕掛け ヒトツテンヤ 餌 エビ
木谷さん、久しぶりの釣りでしたがどうでしたか?
今までメバルに縁ありませんでしたが、ようやくメバル釣れて良かったですね(^^)
初めてお越しの中村さん、船釣り初めてで、いきなり鯛カブラでマダイ、メバル釣れて良かったですね(^^)
忙しいでしょうが、また、遊びに来て下さいね(^^)
本日はありがとうございました(^^)






